Obchvat Třebíče – radniční variantu zvanou „průchvat“ by z 93 % využívala tranzitní doprava
Třebíčská radnice používá na podporu stávající varianty „obchvatu města“, tedy průchvatu, spoustu mýtů a polopravd...
Obchvat Třebíče – na jihlavském ŘSD jsme se nic podstatného nedozvěděli
Zástupci spolku Obchvat Třebíče v minulém týdnu navštívili ředitelku jihlavského Ředitelství silnic a dálnic. Z...
Třebíčané, vyndejte konečně hlavu z písku!
Třebíčané, vyndejte konečně hlavu z písku, není mě jedno, jaký bude mít výsledný efekt...
Rada města zadala porovnání variant obchvatu Třebíče špatně. Neznalost, nebo zlý úmysl?
Rada města Třebíče na svém zasedání 31. května 2018 schválila uzavření smlouvy na vypracování „Komparativní...
Průchvat není Obchvat!
Radnice nejedná s občany férově, klame je už slovem „obchvat“, to slovo přece znamená, že silnice...
Podpisová listina k návrhu na vyhlášení místního referenda k obchvatu Třebíče
Na dnešním jednání zastupitelstva města spolek Obchvat Třebíče oficiálně zahájil sběr petičních podpisů. Cílem je...
Obchvat Třebíče – občané prosadili svůj názor i přes odpor radnice
KRAJSKÝ ÚŘAD KRAJE VYSOČINA vydal rozhodnutí, že u stavby „Přeložka silnice I/23 Třebíč – JZ...
Obchvat Okříšek je podstatným argumentem pro velký obchvat Třebíče
Kraj Vysočina plánuje vybudovat obchvat Okříšek Ten bude pokračovat kolem krahulovského sila k silnici I/23...
Zkáza Lorenzových sadů dokonána
Jihovýchodní část obchvatu také citelně zasáhne do lesoparku Lorenzovy sady s nalezením vhodné trasy byly...
Ulice Spojovací s nejširší komunikací ve městě
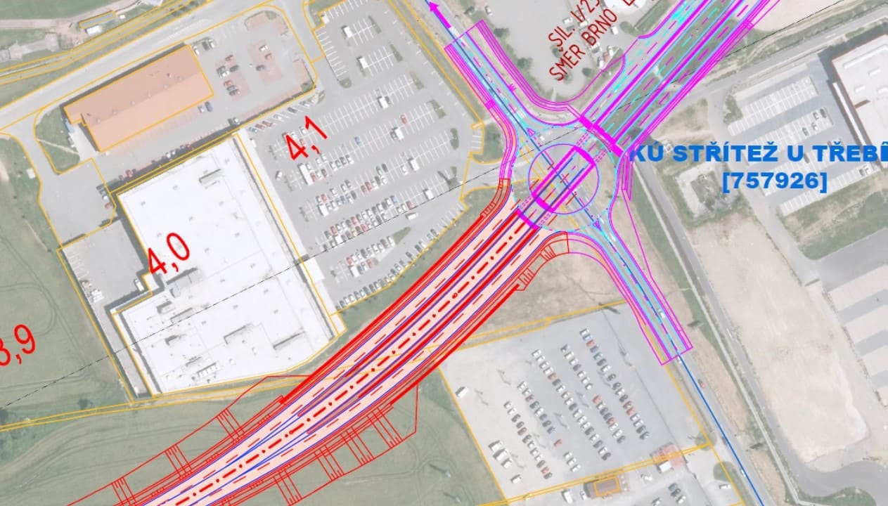
Trasa obchvatu povede oblastí nákupních center na ulici Spojovací Tuto oblast využívá značná část občanů města...
Třípruhová silnice skrz zahrádkářskou kolonii
Z Terovského údolí bude obchvat pokračovat přes zahrádkářskou kolonii za Poliklinikou Trasa povede skrz současný lesní...
„Průchvat“ poničí Libušino a Terovské údolí
Trasa obchvatu je plánována skrz největší a nejkrásnější rekreační a klidovou zónu ve městě V prostoru...
Kolem Domu dětí a mládeže by mělo jezdit 22 tisíc aut denně
Před několika lety došlo i přes protesty mnoha občanů k přesunu Domu dětí a mládeže do...
Nejvyšší tunel Evropy v Borovině a zánik křižovatky
Mezi starou a novou Borovinou má být vybudován silniční tunel Bude mít délku 187 m...
Skládka průmyslových odpadů „BOPO a.s. Řípovská zmola“
Zde je část našeho vyjádření k průchvatu, která se týká velmi závažné záležitosti, které není...
Velkému obchvatu brání především třebíčská radnice
Vedení třebíčské radnice nepravdivě tvrdí, že okolní obce odmítají velký obchvat Třebíče. Podařilo se nám...
Nesouhlasné vyjádření k průchvatu podpořilo svými podpisy 421 občanů
13. března 2018 jsme doručili na Krajský úřad kraje Vysočina vyjádření spolku Obchvat Třebíče k...
EIA – oznámení záměru „Přeložka silnice I/23 Třebíč – JZ obchvat“
Dne 12. února 2018 bylo na úřední desce Krajského úřadu kraje Vysočina zveřejněno oznámení k záměru...
















